The 20th New York State Militia
on the Third Day at Gettysburg
JULY 3, 1863

Regimental colors carried by the 20th N.Y.S.M. at Gettysburg

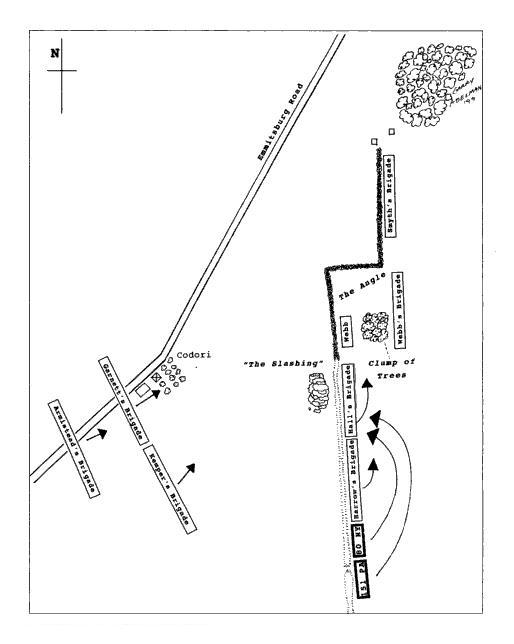
Units of the Union left flank firing into the right flank of the attacking Confederates during Pickett’s Charge on July 3, 1863.
Stannard’s Vermont Brigade and the “demi-brigade” commanded by Col. Theodore B. Gates
(the 20th N.Y.S.M. and the 151st Pa.) were involved in this fighting.
MAJ. GEN. ABNER DOUBLEDAY:
Toward 5 o’clock I received notice from General Hancock and others that the final charge of the enemy had commenced. Shortly afterward several batteries and divisions from other corps reported to me as re-enforcements. I posted them, with the approbation of the corps commander, along the crest, at the points most threatened by the enemy’s advance.
With reference to this period of the action, I desire to quote the reports of General Stannard and Colonel Gates, of the Twentieth New York, the parties who were most actively engaged in my own division in repelling the charge.
General Stannard says:
The front line thus established was held by my brigade for twenty-six hours. At about 4 o’clock on the morning of the 3d, the enemy commenced a vigorous artillery attack, which continued for a short time, upon my position. During its continuance I moved the Fourteenth, under command of Colonel Nichols, to the front of the main line about 75 yards, which was done at double-quick in good order. I then, with permission from my immediate commander, selected a position to occupy, if attacked with infantry, some distance in front of the main line.
At about 2 p.m. the enemy again commenced a vigorous attack upon my position. After subjecting us for an hour and a half to the severest cannonade of the whole battle, from 100 guns or more, the enemy charged with a heavy column of infantry, at least one division in close column by regiments. The charge was aimed directly upon my command, but, owing apparently to the firm front shown them, the enemy diverged midway, and came upon the line upon my right. But they did not thus escape the warm reception prepared for them by the Vermonters. During this charge, the enemy suffered from the fire of the Thirteenth and Fourteenth, the range being short. At the commencement of the attack, I called in the Sixteenth Regiment from the skirmish line, and placed it in close column by division in my immediate rear. As soon as the change in the point of attack became evident, I ordered a flank attack upon the enemy’s column. Forming in the open meadow in front of our lines, the Thirteenth changed front forward on the first company; the Sixteenth, after deploying, performed the same, and formed on the left of the Thirteenth, at right angles to the main line of our army, bringing them in line of battle upon the flank of the charging divisions of the enemy, and opened a destructive fire at short range, which the enemy sustained but a very few moments before the larger portion of them surrendered and marched in – not as conquerors, but as captives. I then ordered the two regiments into their former position. The order was not filled when I saw another rebel column charging immediately upon our left. Colonel Veazey, of the Sixteenth, was at once ordered to attack it in its turn upon the flank. This was done as successfully as before. The rebel forces, already decimated by the fire of the Fourteenth Regiment, Colonel Nichols commanding, were scooped almost en masse into our lines. The Sixteenth in this charge took the regimental colors of the Second Florida and Eighth Virginia Regiments, and the battle-flag of another rebel regiment. The Sixteenth was supported in this new and advanced position by four companies of the Fourteenth, under command of Lieutenant-Colonel Rose.
The movements I have briefly described were executed in the open field under a very heavy fire of shell, grape, and musketry, and they were performed with the promptness and precision of battalion drill. They ended the contest in the center and substantially closed the battle. Officers and men behaved like veterans, although it was for most of them their first battle.
To this splendid record I have nothing to add.
Colonel Gates, of the Twentieth New York Volunteers, says:
At 12.30 p.m. on the 3d, the enemy opened a furious cannonade upon our left center, which continued about two hours. At the end of that time his infantry advanced in two lines upon my position. When his first line received our fire, he faced to his left, and moved in the new direction until nearly opposite the hill on our left center, when he faced to the right, and moved rapidly in line of battle toward the hill. The second line followed the movements of the first. Perceiving that his intention was to get possession of the hill and the batteries upon it, which would have cut our line and greatly endangered our army, I moved my two regiments by the right flank quickly up to the hillside, which he had already commenced ascending. Here some very sharp fighting took place. The enemy had got possession of the fence at the foot of the hill and of the slashing on the hillside caused by felling trees to clear the range for our guns. The fighting was now at quarter pistol range and the fence and fallen trees gave the enemy considerable protection. I therefore ordered my men forward, and they sprang through and over the slashing and up to the fence, the enemy generally dropping their arms and surrendering themselves. Very few of the force that advanced to this attack got back to their own lines again. A great many prisoners were taken, whom I sent to the provost-marshal without guard or escort, as I had no men to spare.
I think these extracts show that it is to Gen. Stannard and Col. Gates the country is mainly indebted for the repulse of the enemy’s charge and the final victory of July 3d.
From Doubleday’s Report to Brig. Gen. S. Williams,
Asst. Adjt. Gen., Army of the Potomac, Sept. 13, 1863
From the Seward R. Osborne Collection.
THEODORE ROOSEVELT:
The Confederate lines came on magnificently. As they crossed the Emmetsburg Pike the eighty guns on the Union crest, now cool and in good shape, opened upon them, first with shot and then with shell. Great gaps were made every second in the ranks, but the gray-clad soldiers closed up to the center, and the color-bearers leaped to the front, shaking and waving the flags. The Union infantry reserved their fire until the Confederates were within easy range, when the musketry crashed out with a roar, and the big guns began to fire grape and canister. On came the Confederates, the men falling by hundreds, the colors fluttering in front like a little forest; for as fast as a color-bearer was shot some one else seized the flag from his hand before it fell. The North Carolinians were more exposed to the fire than any other portion of the attacking force, and they were broken before they reached the line. There was a gap between the Virginians and the Alabama troops, and this was taken advantage of by Stannard’s Vermont brigade and a demi-brigade under Gates, of the 20th New York, who were thrust forward into it. Stannard changed front with his regiments and fell on Pickett’s forces in flank, and Gates continued the attack. When thus struck in the flank, the Virginians could not defend themselves, and they crowded off toward the center to avoid the pressure. Many of them were killed or captured; many were driven back; but two of the brigades, headed by General Armistead, forced their way forward to the stone wall on the crest, where the Pennsylvania regiments were posted under Gibbon and Webb.
The Union guns fired to the last moment, until of the two batteries immediately in front of the charging Virginians every officer but one had been struck. One of the mortally wounded officers was young Cushing, a brother of the hero of the Albemarle fight. He was almost cut in two, but holding his body together with one hand, with the other he fired his last gun, and fell dead, just as Armistead, pressing forward at the head of his men, leaped the wall, waving his hat on his sword. Immediately afterward the battle-flags of the foremost Confederate regiments crowned the crest; but their strength was spent. The Union troops moved forward with the bayonet, and the remnant of Pickett’s division, attacked on all sides, either surrendered or retreated down the hill again. Armistead fell, dying, by the body of the dead Cushing. Both Gibbon and Webb were wounded. Of Pickett’s command two thirds were killed, wounded or captured, and every brigade commander and every field officer, save one, fell. The Virginians tried to rally, but were broken and driven again by Gates, while Stannard repeated, at the expense of the Alabamians, the movement he had made against the Virginians, and, reversing his front, attacked them in flank. Their lines were torn by the batteries in front, and they fell back before the Vermonter’s attack, and Stannard reaped a rich harvest of prisoners and of battle-flags.
From “The Charge at Gettysburg,” in
Hero Tales from American History

Positions of the 20th N.Y.S.M. (80th N.Y.) and the 151st Pa. during the Pickett-Pettigrew-Trimble Charge on July 3, 1863
(Map by Garry Adelman)
From The 151st Pennsylvania Volunteers at Gettysburg:
Like Ripe Apples in a Storm, by Michael A. Dreese

Modern view of the slashing area where the 20th N.Y.S.M. captured a large number of Confederates on July 3, 1863
photo by Seward R. Osborne.
The “Ulster
Guard” and the War of the Rebellion by Theodore B. Gates [PDF]
|(See especially Chapter XXXIV, “Third Day at Gettysburg,” pp. 462-74)|
20th New York State Militia: Ulster Guard
Return to the Civil War Web Site Home Page